モルディブサファリ視察(1月28日から2月4日)5日目
2012年2月23日(木)
2/3 5日目 06:20 朝日とともにエントリーいざ!ハンマーをさがせ!
って貼る写真もないくらい。。ブルーウォター&夜光虫・・・・
唯一、写真のこの子たちだけがダイバーの泡で汚れを落としにワンサカよってくる。。👊
下にいるのはガイド2名。ゲストはおよそ10m上をおよいでいるのですが透明度悪くてこれ以上は離れるの心配。。
やっぱり昨日の透明度悪いままだ~😭。流れも全くないし・・・残念です💦
今回は2冠⭐、2本目は北マーレに移動して、マンタポイントボドヒティティラ✌3回目のマンタポイント🎵🎵
期待大です😎
クリーニングステーションに2匹✌
10分以上かなりゆっくりみれました😄
みなさん着底してマナーはバッチリですね!
満足した後は的場さんがハナヒゲウツボの幼魚をみつけてくれました🎵🎵
ちっちゃいながらも指示棒にかみついてくるカワイイ💕
そしてまたまた、安全停止まじかで1体!
私はクリーニングステーションより、こんな感じのマンタは大好きです👌
マンタポイント大満喫の後はやっぱりマクロで勝負!トールフィンゴビーを探せ!と目標をつけて
ポテトリーフです☆
砂地が3箇所くらいあるのですが、なぜか流れ⬆⬆、引き返すことしばしば。。
無限圧までかなり粘ったんですが見れたのは
ドラキュラシュリンプゴビー (ペアもいっぱいいましたよ~)
クビアカハゼ (本当はオーロラゴビーをのせたかったんですが・・・😭)
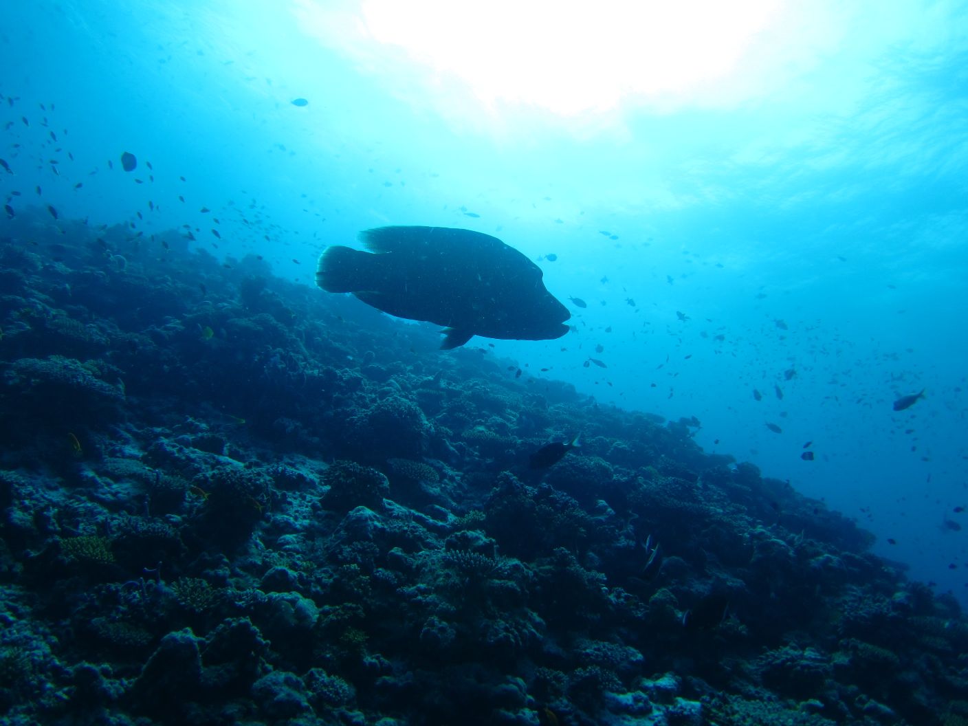
優雅に泳ぐナポレオン🍀
ムスジコショウダイのもう少しで大人になる幼魚★😄
とまったりと潜ってきれいな浅瀬を潜って
15ダイブ フィニッシュ!致しました~✌✌
ガイドさん、そして
ゲストの皆さま⭐大変お世話になりました🎵🎵🎵











